4929 Nerrads PlaceSacramento, CA 95838




Mortgage Calculator
Monthly Payment (Est.)
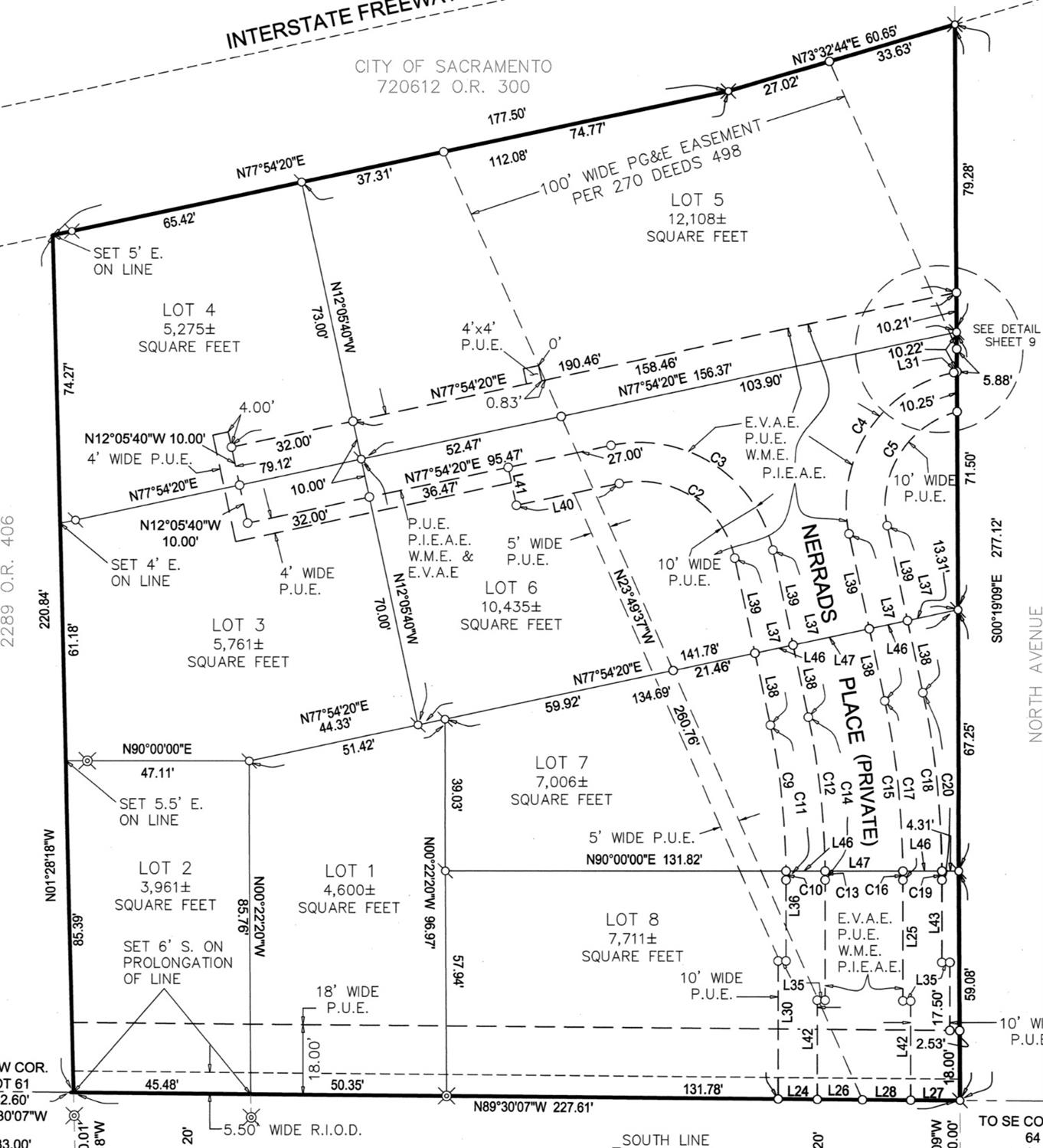
$1,3642026 Subdivision Development Opportunity?!! - Seize the moment with this dramatically priced turnkey development package with seven contiguous parcels totaling 1.17 acres. This fully entitled subdivision comes with an approved site plan, a recorded final map, and completed 2024 improvement plans, making it nearly shovel-ready for development. Designed by the acclaimed Ellis Architects, the project includes plans for six two-story half-plex homes, each offering 4 bedrooms, 2.5 baths, a 2-car garage, and 1,756-1,856 sq ft of living space. Also included are plans for one detached single-story residence with approximately 1,310 sq ft, perfect for broad buyer appeal. School fees have already been paid, offering added value and faster timelines. Plus, the subdivision comes with no HOA fees, creating long-term flexibility and strong marketability. This is a rare, nearly plug-and-play opportunity for builders or investors submit your permits and start building soon! The home at 905 North, is not a part of the sale.
| 4 hours ago | Listing updated with changes from the MLS® | |
| 4 hours ago | Listing first seen on site |
All measurements and all calculations of the area are approximate. Information provided by Seller/Other sources, not verified by Broker. All interested persons should independently verify the accuracy of information. Provided properties may or may not be listed by the office/agent presenting the information. Data maintained by MetroList® may not reflect all real estate activity in the market. All real estate content on this site is subject to the Federal Fair Housing Act of 1968, as amended, which makes it illegal to advertise any preference, limitation or discrimination because of race, color, religion, sex, handicap, family status or national origin or an intention to make any such preference, limitation or discrimination. Terms of Use
Last checked 2026-01-14 04:50 PM PST


Did you know? You can invite friends and family to your search. They can join your search, rate and discuss listings with you.